loader

2017 CHEVROLET MALIBU 1LT

  • Лек автомобил
  • В движение
  • AZ, САЩ
Номер на аукцион # : 44384932
VIN : 1G1ZE5ST0HF293932
Тип щета : Удар
Основна щета : Предна част
Второстепенна щета : Лява страна
Гориво : Бензин
Скоростна кутия : Автоматична
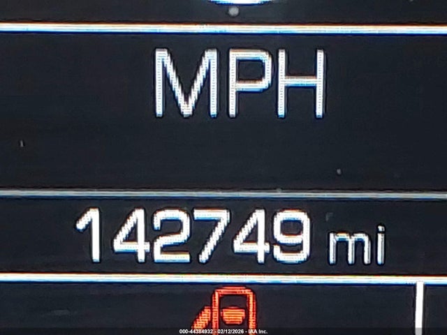
Пробег : 228,398 км
Тип МПС : Лек автомобил
Клас : N/A
Двигател : 1.5L I-4 DI, DOHC, VVT, turbo, 160HP
Ключ : Наличен
Задвижване : Предно задвижване
Брой цилиндри : 4 цилиндъра

Ключ  Наличен
Състояние  Готов за продажба
Състояние на МПС  В ДВИЖЕНИЕ
Автомобилът е успял да запали, да се включи на скорост и да се предвижи.
Километраж  Актуален
Запитване Прогнозна цена: калкулиране... Забележка: Прогнозната цена се сформира на предишни търгове и продажби, включително за период от 6 месеца. Цената е ориентировъчна и понякога може да има несъответствия с текущият автомобил.

Проверка на VIN

Допълнителни данни за МПС

Актуална цена $5,030.00
Вид Седан
Възд.възглавница Непокътнат/и
Цвят Син
Размер на двигателя 1.5L I-4 DI, DOHC, VVT, TURBO,
Шофьорска възд.възглавница Непокътнат/и
Интериорен цвят Черен
Ключ Наличен
Възглавници 1
Радио Наличен
VIN статус ОК
Навигация Наличен
translations.Rear Entertainment Няма информация
На съхранение N/A

Подобни аукциони