loader

2017 GMC SIERRA 1500 DENALI

  • Джип/Пикап
  • В движение
  • GA, САЩ
Номер на аукцион # : 44437690
VIN : 3GTU2PEJ3HG286133
Тип щета : Друго
Основна щета : Лява предна
Второстепенна щета : N/A
Гориво : Бензин
Скоростна кутия : Автоматична
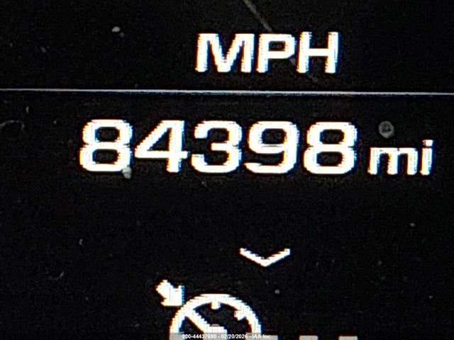
Пробег : 135,037 км
Тип МПС : Джип/Пикап
Клас : Джип/Пикап
Двигател : 6.2L V-8 DI, VVT, 420HP
Ключ : Наличен
Задвижване : 4x4
Брой цилиндри : 8 цилиндъра

Ключ  Наличен
Състояние  Готов за продажба
Състояние на МПС  В ДВИЖЕНИЕ
Автомобилът е успял да запали, да се включи на скорост и да се предвижи.
Километраж  Актуален
Обади се
Прогнозна пазарна цена (USD)
калкулиране...

Забележка: Цената е ориентировъчна, по предишни търгове и продажби. Може да има несъответствия с текущия автомобил.

Информация за търг

Savannah
#44437690
13 Mar 2026 15:30

Проверка на VIN

Допълнителни данни за МПС

Актуална цена $18,200.00
Шофьорска възд.възглавница Непокътнат/и
VIN статус ОК
Възд.възглавница Непокътнат/и
Възглавници 1
Вид N/A
Цвят Бял
Размер на двигателя 6.2L V-8 DI, VVT, 420HP
Ключ Наличен
Навигация Наличен
На съхранение N/A

Подобни аукциони

Изтеглете приложението AutoMart
Google Play Скоро