loader

2000 TOYOTA SIENNA LE

  • Джип/Пикап
  • В движение
  • CA, САЩ
Номер на аукцион # : 44456429
VIN : 4T3ZF13C7YU238761
Тип щета : Удар
Основна щета : Предна част
Второстепенна щета : Задна част
Гориво : Бензин
Скоростна кутия : Автоматична
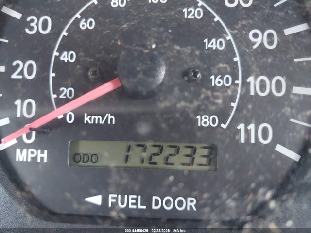
Пробег : 275,573 км
Тип МПС : Джип/Пикап
Клас : N/A
Двигател : 3.0L V-6 DOHC, 194HP
Ключ : Наличен
Задвижване : Предно задвижване
Брой цилиндри : 6 цилиндъра

Ключ  Наличен
Състояние  Готов за продажба
Състояние на МПС  В ДВИЖЕНИЕ
Автомобилът е успял да запали, да се включи на скорост и да се предвижи.
Километраж  Актуален
Обади се
Прогнозна пазарна цена (USD)
калкулиране...

Забележка: Цената е ориентировъчна, по предишни търгове и продажби. Може да има несъответствия с текущия автомобил.

Информация за търг

Sacramento
#44456429
11 Mar 2026 18:30

Проверка на VIN

Допълнителни данни за МПС

Актуална цена $3,808.00
Възд.възглавница Непокътнат/и
Вид N/A
Цвят Зелен
Размер на двигателя 3.0L V-6 DOHC, 194HP
Шофьорска възд.възглавница Непокътнат/и
Възглавници 1
Интериорен цвят N/A
Навигация Наличен
Ключ Наличен
Радио Наличен
VIN статус ОК
translations.Rear Entertainment Няма информация
На съхранение N/A

Подобни аукциони

Изтеглете приложението AutoMart
Google Play Скоро