loader

2017 TOYOTA SIENNA XLE PREMIUM 7 PASSENGER

  • Джип/Пикап
  • В движение
  • AZ, САЩ
Номер на аукцион # : 44148173
VIN : 5TDDZ3DC3HS155518
Тип щета : Удар
Основна щета : Лява задна
Второстепенна щета : N/A
Гориво : Бензин
Скоростна кутия : Автоматична
Пробег : 150,454 км
Тип МПС : Джип/Пикап
Клас : N/A
Двигател : 3.5L V-6 DI, DOHC, VVT, 296HP
Ключ : Наличен
Задвижване : AWD
Брой цилиндри : 6 цилиндъра

Ключ  Наличен
Състояние  Готов за продажба
Състояние на МПС  В ДВИЖЕНИЕ
Автомобилът е успял да запали, да се включи на скорост и да се предвижи.
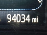
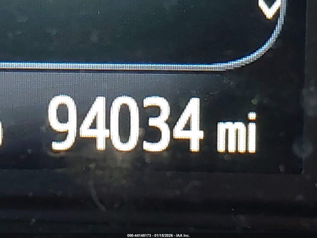
Километраж  Актуален
Запитване Прогнозна цена: калкулиране... Забележка: Прогнозната цена се сформира на предишни търгове и продажби, включително за период от 6 месеца. Цената е ориентировъчна и понякога може да има несъответствия с текущият автомобил.

Проверка на VIN

Допълнителни данни за МПС

Актуална цена $19,902.00
Вид N/A
Радио Наличен
Интериорен цвят N/A
Възд.възглавница Непокътнат/и
Възглавници 1
Цвят Бял
Размер на двигателя 3.5L V-6 DI, DOHC, VVT, 296HP
Шофьорска възд.възглавница Непокътнат/и
VIN статус ОК
Навигация Наличен
Ключ Наличен
translations.Rear Entertainment Наличен
На съхранение N/A

Подобни аукциони