loader

2015 KIA SEDONA SX LUXURY

  • Джип/Пикап
  • В движение
  • FL, САЩ
Номер на аукцион # : 44440338
VIN : KNDME5C19F6032293
Тип щета : N/A
Основна щета : Нормално износване
Второстепенна щета : N/A
Гориво : Бензин
Скоростна кутия : Автоматична
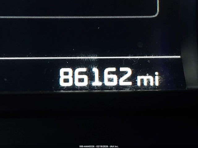
Пробег : 137,859 км
Тип МПС : Джип/Пикап
Клас : N/A
Двигател : 3.3L V-6 DI, DOHC, VVT, 276HP
Ключ : Наличен
Задвижване : Предно задвижване
Брой цилиндри : 6 цилиндъра

Ключ  Наличен
Състояние  Готов за продажба
Състояние на МПС  В ДВИЖЕНИЕ
Автомобилът е успял да запали, да се включи на скорост и да се предвижи.
Километраж  Актуален
Запитване Текущ залог: $1100.00 Прогнозна цена: калкулиране... Забележка: Прогнозната цена се сформира на предишни търгове и продажби, включително за период от 6 месеца. Цената е ориентировъчна и понякога може да има несъответствия с текущият автомобил.

Проверка на VIN

Допълнителни данни за МПС

Вид N/A
Цвят Бял
Размер на двигателя 3.3L V-6 DI, DOHC, VVT, 276HP
Шофьорска възд.възглавница Непокътнат/и
VIN статус ОК
Възд.възглавница Непокътнат/и
Актуална цена $5,900.00
Възглавници 1
Радио Наличен
Навигация Наличен
Ключ Наличен
На съхранение N/A

Подобни аукциони